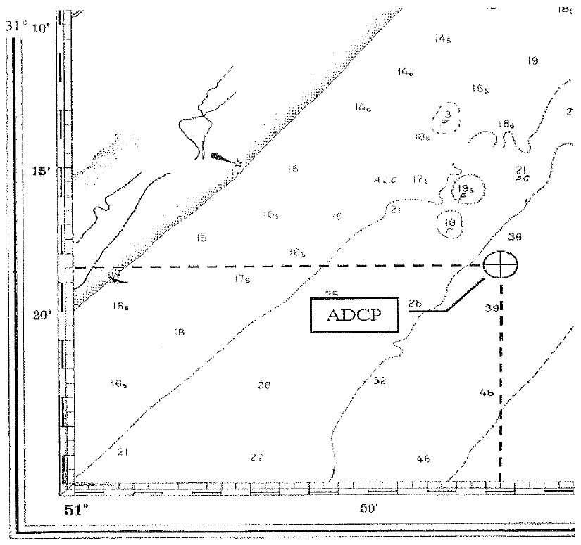
A figura abaixo apresenta o local de fundeio de um Perfilador Acústico de Correntes por Efeito Doppler (ADCP), plotado numa Carta Náutica, construída na Projeção de Mercator, Escala natural 1:274023 na latitude 30º18'.

O local de fundeio, representado por um círculo central, possui as seguintes coordenadas:
Provas
Questão presente nas seguintes provas