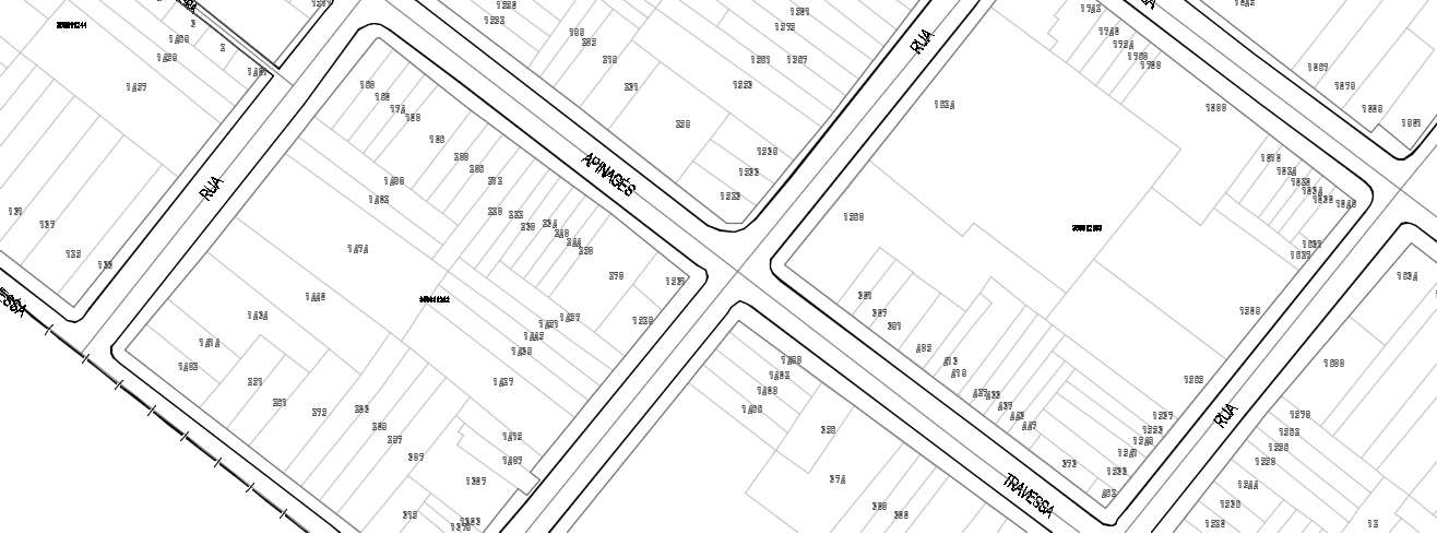
Observe e analise a imagem a seguir, do parcelamento do bairro de Batista Campos, em Belém. Pensando em elementos de pré-dimensionamento e projeto de sistema viário, marque a alternativa correta.

Figura 3 Trecho do parcelamento (via, quadra, lote) do bairro de Batista Campos, em Belém.
Fonte: CODEM-PMB (Companhia de Desenvolvimento e Administração da Área Metropolitana de Belém). Cadastro técnico multifinalitário. Belém: Prefeitura Municipal, 2003. CD-ROM.